 |
|
London North Western
Railway:
 Midland
Railway:
 Stratford
Midland Junction Railway
|

|
Broom Junction Station
On this page:
Broom Junction was a railway station and interchange between
the Stratford-upon-Avon and Midland Junction Railway and the Barnt Green to
Ashchurch line. Although initially only an exchange station, it was opened to
the public from 1880 and remained in service until 1963. Other than passengers
changing trains, passenger traffic was low as the station was situated in a
sparsely populated area near Broom in Warwickshire. The line to
Stratford-upon-Avon was the first to close in 1960, followed by the Barnt Green
line in 1962.
In 1873, the East and West Junction Railway (E&WJ)
received Parliamentary authorisation to construct a 7.¾ miles eastwards
extension of its Stratford-upon-Avon to Blisworth line to join with the Evesham
& Redditch Railway's (E&R) Barnt Green to Ashchurch line which had
opened six years previously. The new line joined at the Warwickshire village of
Broom where it formed a northward facing junction with the E&R's line. In
completing the line to Broom, the length of the Stratford-upon-Avon and Midland
Junction Railway (SMJR) was increased to 45 miles, rising to 55½ miles
in 1882 with the completion of a further extension south to Olney The completed
line also provided a connection between two lines worked by the Midland Railway
which absorbed the E&R in 1882.
The new line opened to traffic on 2nd June 1879 and an
island platform was provided at Broom to allow passengers to change trains en
route. Trains from the E&WJ worked into a single north-facing platform by
an awkward west to north movement, across the main lines. The return journey
required a reversal south to the engine turntable situated at the end of a
siding on the other side of the road bridge. The Midland allowed the E&WJ
to use the station subject to the sharing of costs, and the E&WJ were given
running rights over the Midland's line although it only ever exercised use of
the 5 chains (330 ft) into the station.
Broom first appeared in public timetables in November 1880.
Meagre passenger facilities were provided in the shape of two old coach bodies
and a small brick booking office; a sectional concrete shed was added later. At
first two north and south signal boxes were provided, but this arrangement was
rationalised in 1934 by the London, Midland and Scottish Railway, which
concentrated the junction's workings into one box known as Broom Junction. The
advent of the Second World War led to the installation of a south-to-east curve
between the SMJR and the Barnt Green line to allow through running of
Gloucester to London services. This required two new signal boxes: one on the
curve entrance from Stratford known as Broom West, and another on the original
connecting line known as Broom East. All three later closed on 5th July
1962.
As a passenger station, Broom Junction was not particularly
successful: it served a small rural community and was very susceptible to road
competition. Passenger services to Stratford-upon-Avon were temporarily
withdrawn on 16th June 1947 and permanently from 23rd May 1949, at which point
the station was only seeing two daily workings. Its ghost lingered on in the
Barnt Green to Ashchurch timetables until 1962, as the 1:00pm service from
Birmingham New Street to Ashchurch continued to wait at Broom for 20 minutes
for a connection which had long ceased. Goods services between
Stratford-upon-Avon and Broom Junction continued until 13 June 1960, the
freight being diverted via a new south curve at Stratford upon Avon between the
SMJR and Honeybourne line. The Barnt Green line itself closed between Redditch
and Evesham from 1st October 1962 due to the unsafe condition of the track;
British Railways provided a replacement bus service using hired Midland Red
buses, but this was found to be similarly uneconomical and was withdrawn from
17th June 1963.
Nick Catford of www.disused-stations.org.uk
back to
top
Broom Junction station
back to
top
Broom Junctions Signal Boxes
back to
top
Locomotives seen at or near Broom Junction
back to top
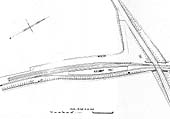
Map and schematic drawings
back to
top
Broom Junction after the closure of the line
back to
top

|