LMS Route: Stratford Midland Junction - The Shakespeare
Route
SMJ Locomotives: smjsa161a
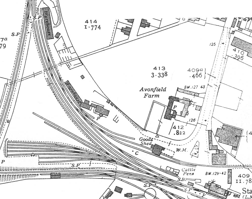
Close up of image 'smjsa161' - the 1938 Ordnance Survey map
showing the station, the carriage sidings and the goods shed and yard. Items of
interest for the modeller are the two warehouses located on a long siding which
ran parallel with the junction to the Great Western Railway. The same siding(s)
run towards the River Avon passing alongside, and through, the SMJ's Stratford
on Avon Goods Shed and onwards across the road entrance into the Lucy &
Nephew Corn Mill which was located on the banks of the River Avon.
back
 |