|
|
 |
 |
|
London North Western
Railway:
 Midland
Railway:
 Stratford
Midland Junction Railway
|

|
LMS Route: The Shakespeare Route
Clifford Sidings: smjc225
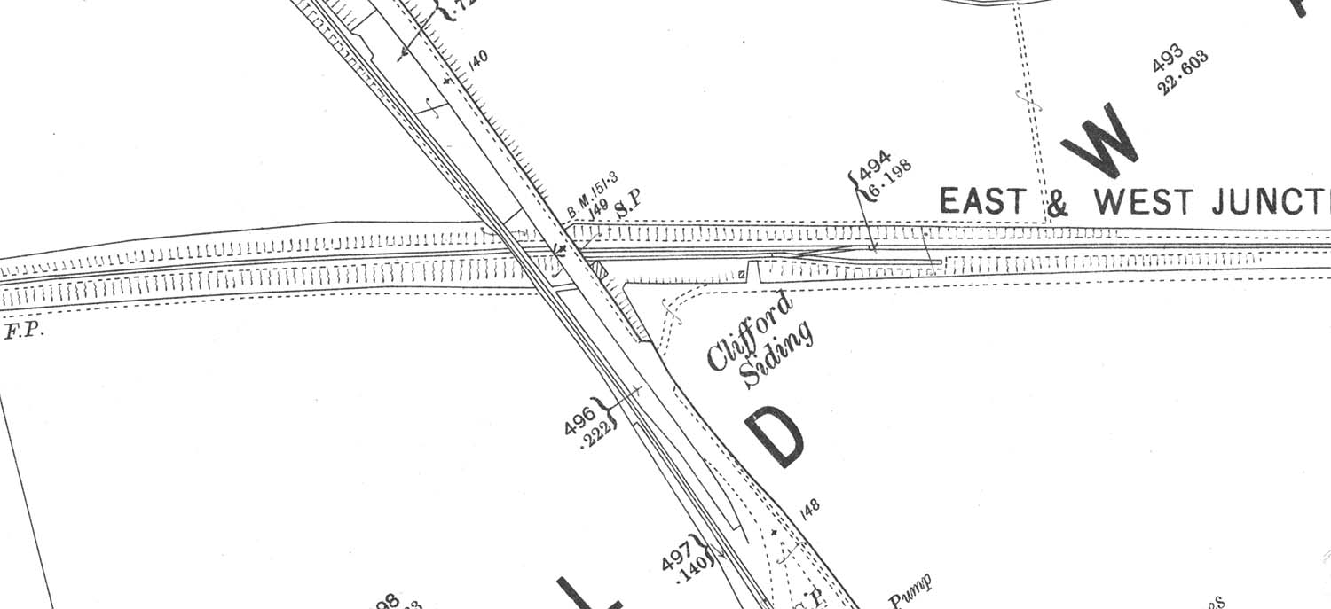
A 1913 25 inch to the mile Ordnance Survey map showing
Clifford Sidings still as a single siding but with a small head shunt. It
wasn't until the line was doubled between Stratford Old Town and Clifford
Sidings that a Signal Box was installed.
back

|
|
|