|
|
 |
 |
|
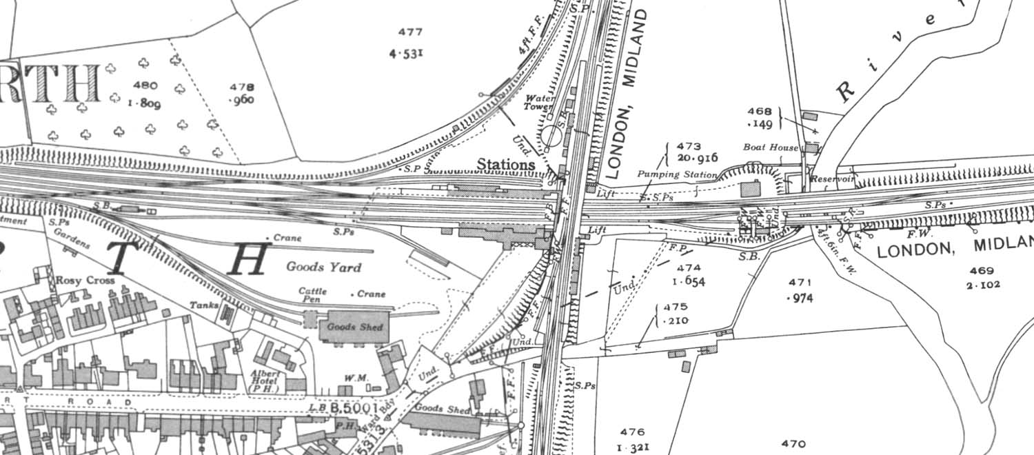
London North Western
Railway:
 Midland
Railway:
 Stratford
Midland Junction Railway
|

|
LMS Route: Birmingham New Street to Tamworth
Tamworth High Level Station: mrthl1815
A 1938 25 inch to the mile Ordnance Survey Map showing the
LNWR station, goods yard and signal cabins.
back

|
|
|