|
|
 |
 |
|
London North Western
Railway:
 Midland
Railway:
 Stratford
Midland Junction Railway
|

|
LMS Route: Nuneaton to Birmingham New Street
LMS Route: Birmingham New Street to Tamworth
Saltley Shed: mrsalt656b
 |
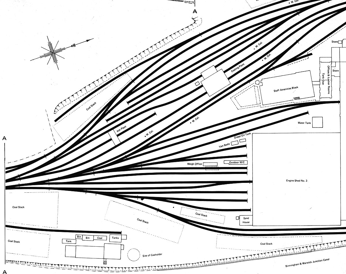
Close up of image 'mrsalt656' showing Saltley shed's 1950s
layout showing Engine Shed No 3 with the Sand House on the corner and the Weigh
Office in the centre and the Diesel Oil Tank at the top. Also shown are the
main access and departure roads to the shed which could also access the
mechanical coaling and ash plant for quicker disposal. The unusual shaped
addition to the top left of the Staff Amenities Block was where the checker sat
booking the locomotives off and on the shed as seen in image 'mrsalt80'. The liberal distribution of water columns
was necessary because at the end of each shift the shed could get very busy
with locomotives standing for sometime before being disposed. In front of the
Engine Shed No 3 are the main stabling roads in front of all three of Saltley
shed's roundhouses plus the two roads that provided direct access to No 3 and
No 2 sheds. From the bottom right the lines were allocated as follows: two
lines for stabling locomotives alongside the shed; three stabling roads in
front of No 3 shed' one direct access road to No 3 shed; four stabling roads in
front of No 3 shed; one road for fueling diesel shunters; and two lines that
merged in to one to gain access to No 2 shed. The remaining lines provided
access to the Derby to Birmingham running lines and/or to the coaling plant and
ash plant.
back

|
|
|