|
|
 |
 |
|
London North Western
Railway:
 Midland
Railway:
 Stratford
Midland Junction Railway
|

|
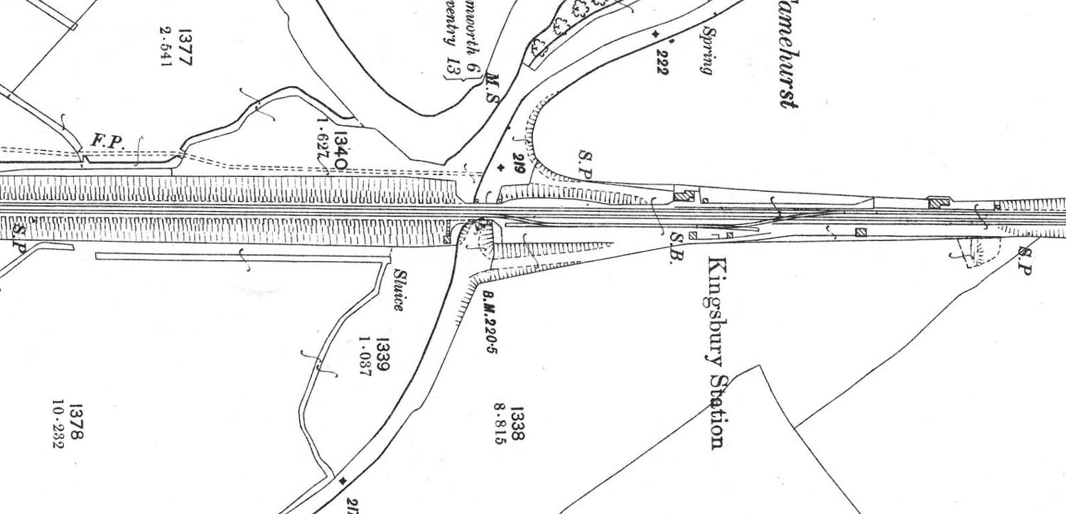
LMS: Birmingham New Street to Tamworth
Kingsbury Station: mrk1787
A 1901 Ordnance Survey Map showing Kingsbury Station and
goods yard and the junction to Water Orton.
back

|
|
|