LMS Route: Birmingham New Street to Tamworth
LMS Route: Nuneaton to Birmingham New Street
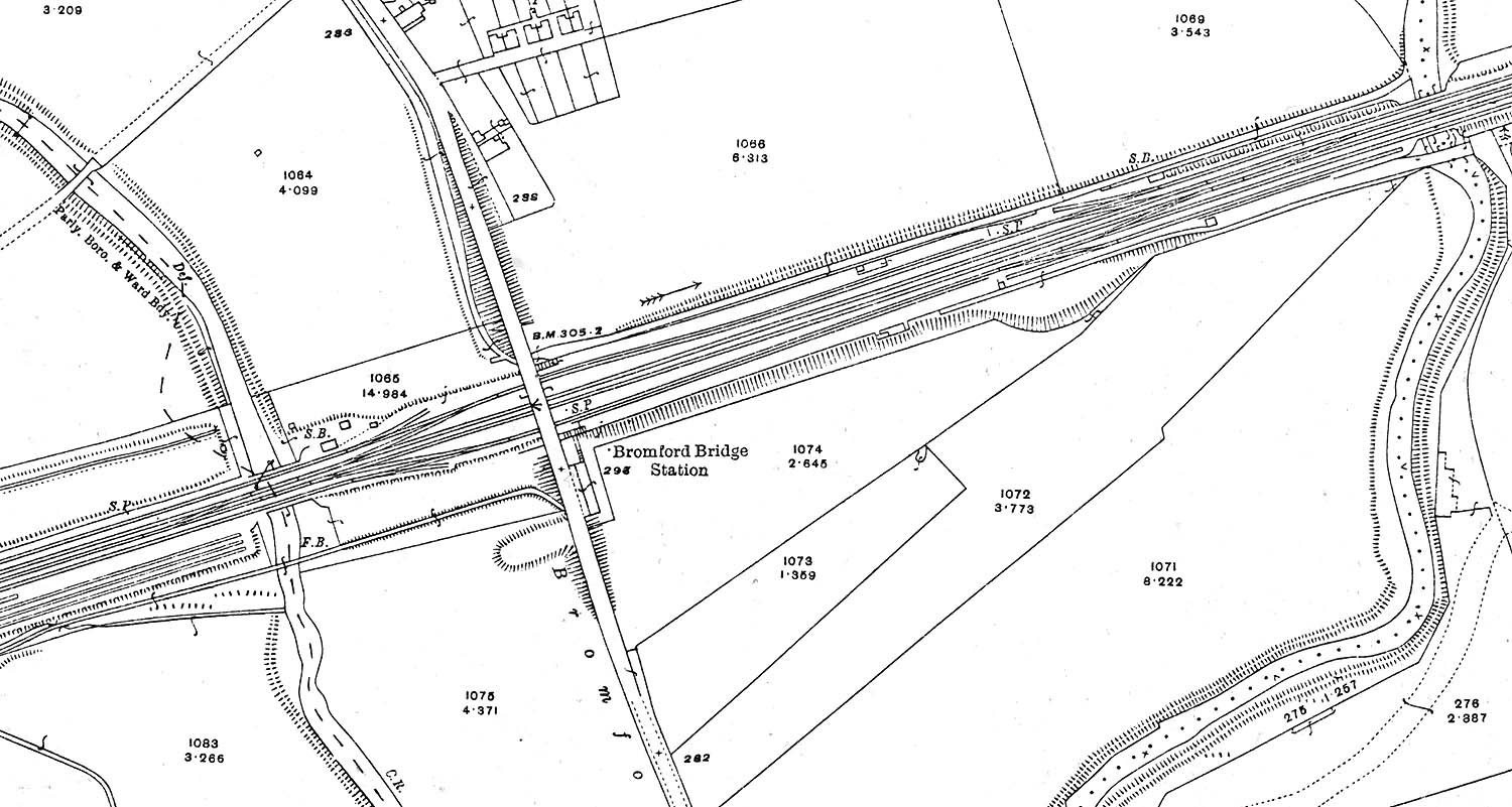
Bromford Bridge Station: mrbb1016
A 1914 Ordnance Survey Map showing the location of Bromford
Bridge station in relation to the start of Washwood Heath sidings which lay to
the West.
back

|