·  LMS  ·  GWR  ·  LNER  ·  Misc  ·  Stations  ·  What's New  ·  Video  ·  Guestbook  ·  About

LMS Route: Birmingham New Street to Nuneaton

Arley & Fillongley Station: mraf1879

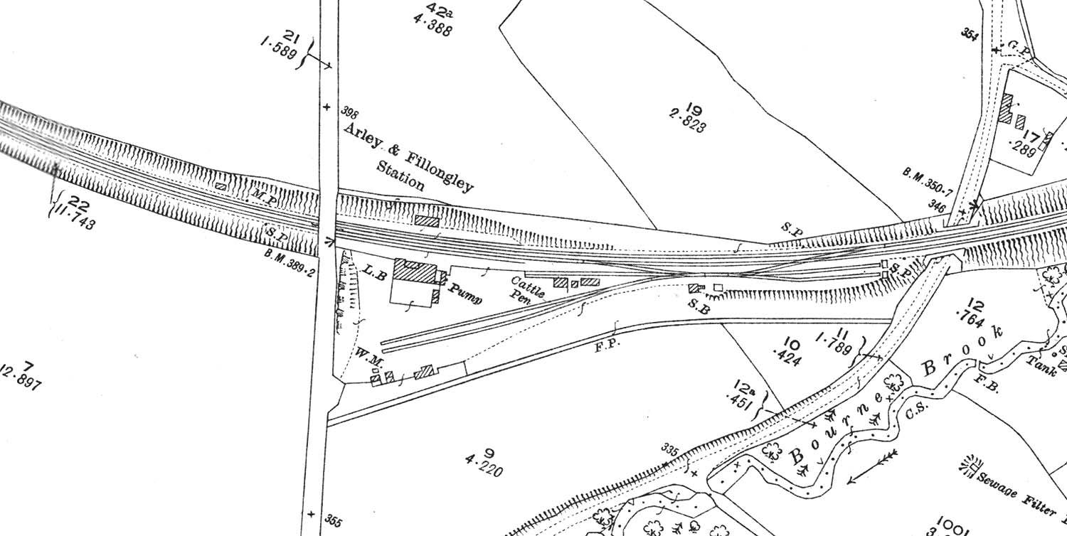
A 1923 25 inch to the mile Ordnance Survey map of Arley & Fillongley station and goods yard

A 1923 25 inch to the mile Ordnance Survey map of Arley & Fillongley station and goods yard.

back