|
|
 |
 |
|
GWR Route: Banbury to Wolverhampton
Leamington Spa Station: gwrls2141
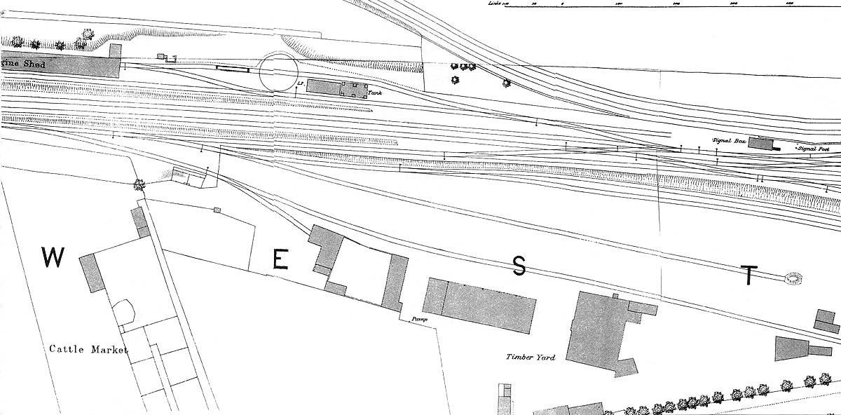
Part of the 1886 OS map showing the location and layout of the
original Leamington Engine Shed. The shed appears to have only one road with a
storage siding located adjacent to the building on the side nearest the main
line. The shed was accessed by two roads running either side of the coaling
stage with one leading on to a turntable and a pit used for cleaning out the
fireboxes and oiling between the locomotive's frames. The LNWR branch line from
Milverton to Rugby is seen passing very close to the Leamington North Signal
Box when compared to the map seen on 'gwrls2045'.
It would appear that when the LNWR station was built then the line of the
branch was altered by moving it away from the GWR's lines in order to
accommodate the station. This development combined with the move of the engine
shed allowed the railway companies to build their exchange sidings at this
location.
back

|
|
|