·  LMS  ·  GWR  ·  LNER  ·  Misc  ·  Stations  ·  What's New  ·  Video  ·  Guestbook  ·  About

LNER Route: Leicester to Marylebone

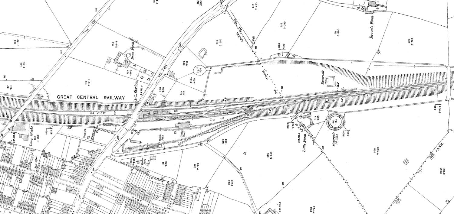
Rugby Central Station: gcrgen297

A 1912 25 inches to the mile Ordnance Survey Map of Rugby's Great Central station and refuge sidings

A 1912 25 inches to the mile Ordnance Survey Map of Rugby's Great Central station and refuge sidings.

back