 |
|
GWR Route: Banbury to Wolverhampton
GWR Route: North Warwickshire Line
Tyseley Shed: gwrt2973
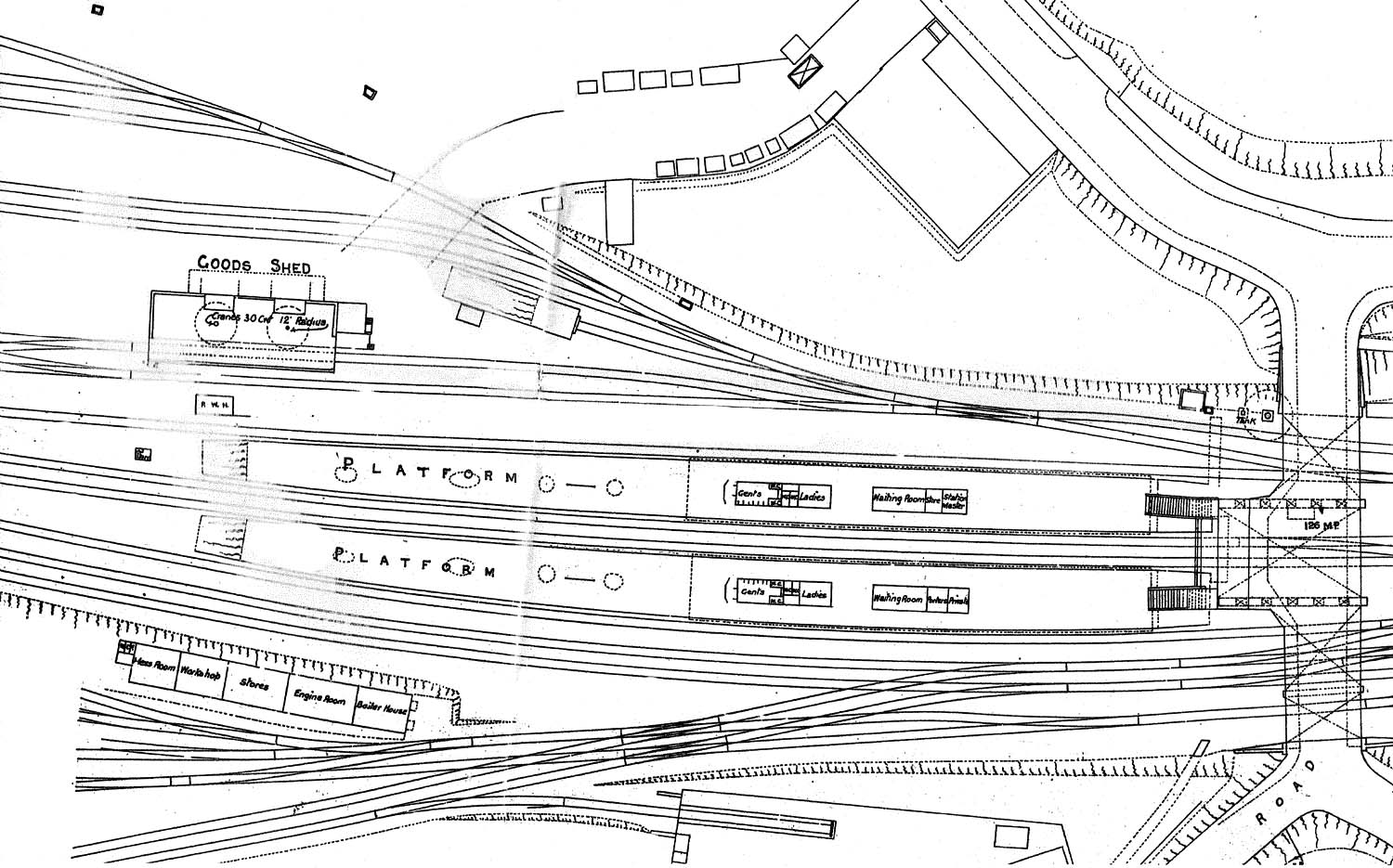
Plan of Tyseley Station prior to 1923, showing the two
island 500 feet long platforms, half of which were covered by canopies over the
passenger facilities. On the Main line platform (No 1 & 2) were separate
lavatories for Gentlemen and Ladies, a Ladies Waiting Room, General Waiting
Room, Stores and Station Master's Office, while on the Relief line platform
were separate lavatories for Gentlemen and Ladies, a Ladies Waiting Room,
General Waiting Room, Porter's Room and a room marked Private which
was used by Ticket Collecting Staff. Stairs from both platforms lead up to a
road level building which straddled the tracks and contained three rooms; a
public Booking Hall, Ticket Office and a Parcels Office. There was no lift at
this time.
At the top of the plan is the Railway Goods Yard with a 100
foot long Goods Shed, through which past one siding. On the wooden decked
platform inside were two 30 cwt hand cranes with a 12 foot radius, each
adjacent to a vehicle loading bay. The Goods office at this time was a separate
building attached to the Goods Shed. There were several mileage sidings behind
the Goods Shed and a short siding with an end loading ramp for loading
vehicles. The weighbridge can be seen (marked X) on the driveway near the
entrance to the Yard with an office adjacent. On the other side of the driveway
was a large building which contained the stables.
At the bottom of the plan is the junction leading to the
south end of the carriage sidings and the loop lines. A single storey building
contained; Toilets, Mess Room, Workshop, Store, Engine Room and Boiler
House.
Robert Ferris
back

|