|
|
 |
 |
|
GWR Route: Stratford on Avon to Honeybourne
Sancta Lane Station: gwrsanct2467
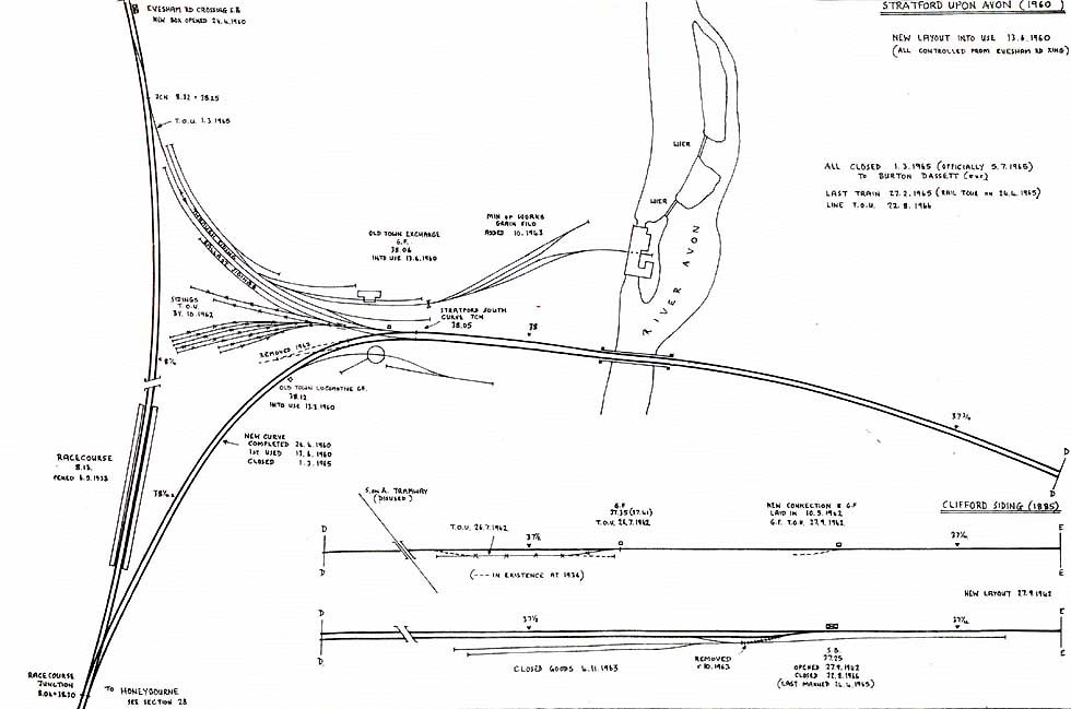
Schematic plan of the SMJ line and the connections to the
GWR line in 1960 after the lifting of the SMJ line to Broom. The junction at
the top was built at the same time as the East & West Railway's line to
Fenny Compton was opened, thereby allowing its trains to start from the GWR
station prior to the opening of its own station. The junction curve at the
bottom of the plan was the short lived connection for south bound traffic,
opening in June 1965 and closing in May 1965. The two sectional drawings are of
Clifford Sidings with the top diagram being from 1885 and the bottom diagram
from 1942.
back

|
|
|