|
|
 |
 |
|
GWR Route: The North Warwickshire Line
GWR Route: Stratford on Avon to Hatton
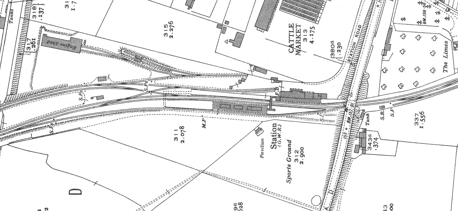
Stratford on Avon Station: gwrsa3042
An Ordnance Survey Map of the station showing little has
changed to the layout since it was extended at the beginning of the 20th
century. This edition was revised in 1939 and published in 1946.
back

|
|
|