|
|
 |
 |
|
GWR Route: North Warwickshire Line
Henley in Arden - Original Station: gwrha1417
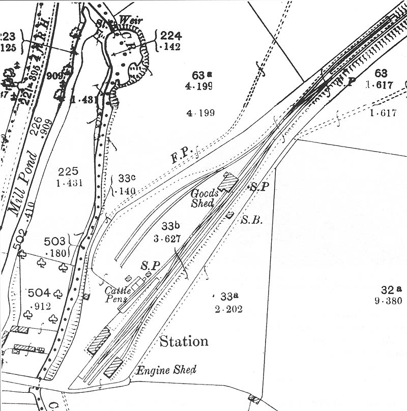
View of a map of the Henley-in-Arden branch terminus in 1905
showing the layout of the original station, engine shed and goods yard. The
approach to the terminus was slightly more complex than in later years with two
sets of tracks running past the goods shed into the station and engine shed.
The signal box was located opposite to the goods shed which was approximately
halfway between the sets of points it had to operate. There are no known
photographs of the signal box which was closed in 1908 on the opening of the
new station.
back

|
|
|