·  LMS  ·  GWR  ·  LNER  ·  Misc  ·  Stations  ·  What's New  ·  Video  ·  Guestbook  ·  About

GWR Route: Banbury to Wolverhampton

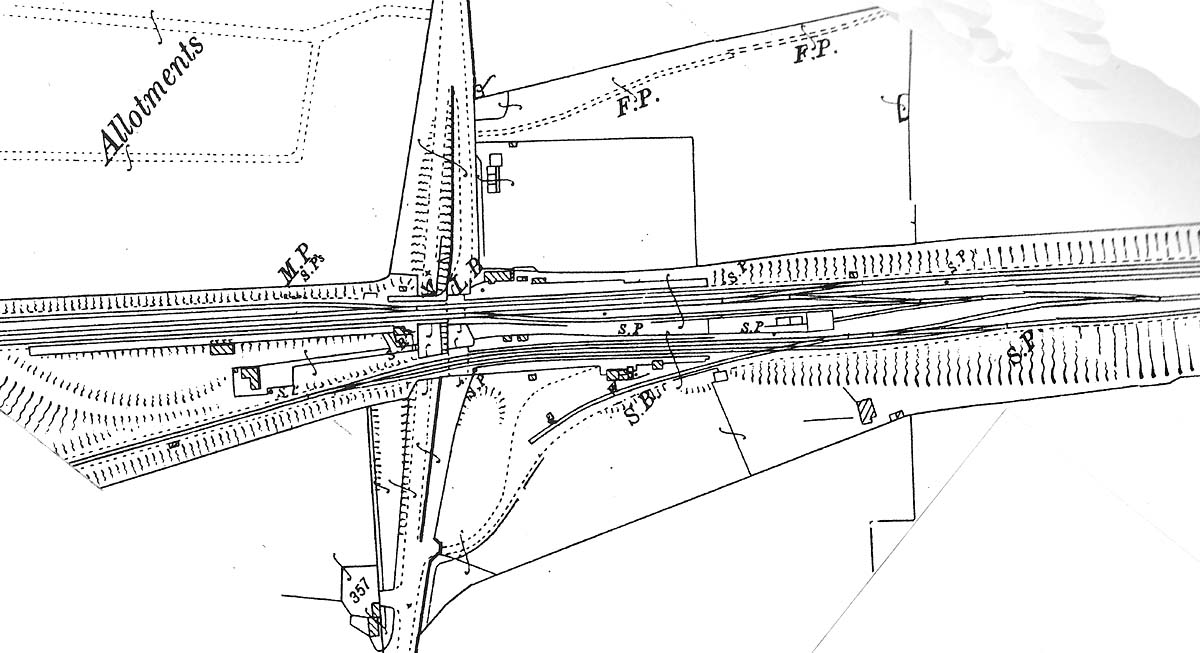
Fenny Compton: gwrfc2259

A 1904 OS map showing the layout and relationship of the GWR and SMJ Fenny Compton stations to each other

A 1904 OS map showing the layout and relationship of the GWR and SMJ Fenny Compton stations to each other.

back